| |||||
| Auteur | Sujet : [taupikunik] Réchauffement climatique |
|---|---|
PinkFloyd31 Jancoviciste | Reprise du message précédent :
Message édité par PinkFloyd31 le 28-10-2025 à 19:55:58 --------------- Le plus dur c'est pas l’Atterrissage, c'est la Chute. «Dieu se rit des hommes qui déplorent les effets dont ils chérissent les causes» FAFO. |
Publicité | Posté le 28-10-2025 à 19:43:31 ![]() ![]() |
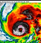
Kornofulgur |
Message cité 1 fois Message édité par Kornofulgur le 28-10-2025 à 20:02:17 |
brown paper bag Concours de pyjama mental |
--------------- Eponyme |
PinkFloyd31 Jancoviciste |
--------------- Le plus dur c'est pas l’Atterrissage, c'est la Chute. «Dieu se rit des hommes qui déplorent les effets dont ils chérissent les causes» FAFO. |
brown paper bag Concours de pyjama mental | Si on allume un feu dans l'œil du cyclone, on a potentiellement le plus gros bong du monde --------------- Eponyme |
Kornofulgur |
|
cyberslan | Pourquoi les ouragans portent-ils toujours des prénoms féminins ?
Message cité 1 fois Message édité par cyberslan le 28-10-2025 à 20:33:44 |
lokilefourbe | A cause des gonzesses de mecs de l'air force. --------------- |
cyberslan | Pourtant Donald, Benyamin ou Vladimir serait plus adapté par les temps qui courent... Message édité par cyberslan le 28-10-2025 à 20:38:25 |
brown paper bag Concours de pyjama mental | --------------- Eponyme |
Publicité | Posté le 28-10-2025 à 20:43:28 ![]() ![]() |
cyberslan |
PinkFloyd31 Jancoviciste |
Message édité par PinkFloyd31 le 28-10-2025 à 20:54:45 --------------- Le plus dur c'est pas l’Atterrissage, c'est la Chute. «Dieu se rit des hommes qui déplorent les effets dont ils chérissent les causes» FAFO. |
PinkFloyd31 Jancoviciste | les bonnes nouvelles commencent à sortir enfin !
--------------- Le plus dur c'est pas l’Atterrissage, c'est la Chute. «Dieu se rit des hommes qui déplorent les effets dont ils chérissent les causes» FAFO. |
brown paper bag Concours de pyjama mental |
nakata frog game | Le temps est tellement pourri là-bas qu'ils doivent croire que Français Hollande est devenu leur président. |
Eife Juste avant le .G - Topic de |
--------------- Topic de vente de trucs divers |
teepodavignon | Incroyable les images qu’on peut voir, les camions les routes, les voitures emportées. Je me demande combien valent ces voitures maintenant. --------------- Laurent est mon fils. |
PinkFloyd31 Jancoviciste | tout ce qui est détruit vaut du PIB supplémentaire
Message édité par PinkFloyd31 le 29-10-2025 à 00:05:05 --------------- Le plus dur c'est pas l’Atterrissage, c'est la Chute. «Dieu se rit des hommes qui déplorent les effets dont ils chérissent les causes» FAFO. |
tuxerman12 | C'est la faute du PIB, je le savais ! |
PinkFloyd31 Jancoviciste |
zut alors ! encore des records ---------------------- mouarf mouarf
--------------------- RIP les martyrs du minage de PIB, on construira un machin en béton à base de GES en votre mémoire entre 2 kébabs et 3 bières. promis.
en attendant les prochains chiffres Message édité par PinkFloyd31 le 29-10-2025 à 02:07:33 --------------- Le plus dur c'est pas l’Atterrissage, c'est la Chute. «Dieu se rit des hommes qui déplorent les effets dont ils chérissent les causes» FAFO. |
tuxerman12 | Le PIB qui paye les services publics et la répartition, c'est le mal ! Il faut de suite revenir au niveau de vie du XVI siècle avec l'espérance de vie à 30 ans ! Ça résoud le problème des retraites en même temps ! Plus sérieusement, je vais peut-être me lire ça : Message cité 2 fois Message édité par tuxerman12 le 29-10-2025 à 03:18:13 |
PinkFloyd31 Jancoviciste |
Message édité par PinkFloyd31 le 29-10-2025 à 03:31:42 --------------- Le plus dur c'est pas l’Atterrissage, c'est la Chute. «Dieu se rit des hommes qui déplorent les effets dont ils chérissent les causes» FAFO. |
brown paper bag Concours de pyjama mental | Ils ont eu la totale en Jamaïque : inondations monstres, maisons et infrastructures arrachées par le vent, coupures d'électricité et des communications, intervention impossible pour les équipes de secours... Message cité 1 fois Message édité par brown paper bag le 29-10-2025 à 05:26:30 --------------- Eponyme |
360no2 I am a free man! |
--------------- "a fool and his money are soon parted" (Affolant Monet : art sans partage) | Ça nous coûte un pognon de dingue ! (circa 2018) |
Jacquot martin |
--------------- Membre de la T.E.P.A. Dans le but de contribuer à une amélioration dans la mesure où il y aurait lieu de le faire. |
Perfector Memento mori |
tuxerman12 | Bienvenue au club |
Van Winkle Tchic tcha |
--------------- SAINT DENIS, SAINT DENIS, FON-FONKY FRESH |
tuxerman12 |
|
Perfector Memento mori |
lokilefourbe |
--------------- |
tuxerman12 |
|
Perfector Memento mori | Où s'arrête le superflu et le vital ? Message cité 2 fois Message édité par Perfector le 29-10-2025 à 10:54:03 --------------- Randos |
Polza Mancini |
|
krojules primesautier |
--------------- 3 2 1 prêt feu go partez. |
Publicité | Posté le ![]() ![]() |






