| |||||
FORUM HardWare.fr

Discussions

Société

[Vélo au quotidien] Préparez vos guibolles, c'est la fin du pétrole !| Auteur | Sujet : [Vélo au quotidien] Préparez vos guibolles, c'est la fin du pétrole ! |
|---|---|
GnomoVTT | Reprise du message précédent :
--------------- Mon 500px & flick R |
Publicité | Posté le 02-08-2022 à 18:44:27 ![]() ![]() |
Sylean |
johnclaude You know nothing johnclaude | J'ai acheté le deuxième lien. Je vous dirai en septembre ce que j'en pense. Ça vous paraît bien ? --------------- Topic vente: vieux matos 25 ans et plus |
Farore9301 | Hello, La manette arrière de mon RC500 ne fait plus descendre les vitesses --------------- Stream LoL | HFR LoL Championship (merci phì !) |
enikka |
--------------- I wonder if heaven got a ghetto |
Trotamundos |
|
the_warrior in soviet ... |
|
giHefca occupé à ne rien faire |
Merci à SunnyD pour l'idée Message édité par giHefca le 02-08-2022 à 21:34:40 |
Publicité | Posté le 02-08-2022 à 21:31:57 ![]() ![]() |
SunnyD forceur vélocipédique | Ah c'est pas de moi, je l'avais lu ici même peut être de crazy, ou un autre kryptonien. Et effectivement maintenant je le dis à mes clients et ça marche niquel. D'ailleurs rien à voir, mais le commercial shimano qui distribue krypto, m'a dit la semaine dernière que j'étais son plus gros point de vente krypto du département, alors que je suis un des plus petits magasin. Petite fièrté, et petite remise aussi --------------- Roule Raoul ! |
GnomoVTT |
--------------- Mon 500px & flick R |
Ali-Pacha AW | Tiens, j'ai vu ça sur les emplacements vélos de ma cogip :
Message édité par Ali-Pacha le 03-08-2022 à 07:38:46 |
johnclaude You know nothing johnclaude |
remiche35 One day the flames will fade | Oui. Et je pense que c'est plus adapté pour les marchés où la gachette d'accélérateur est autorisée |
Jay Kay | https://www.bike-components.de/fr/C [...] 26-p52545/ T'en prends deux en 26x1.6, et roulezzz T'ajoutes une sacoche de selle genre Zefal à 40€ : https://www.alltricks.fr/F-41498-ba [...] e_r11_noir pour te passer de ton sac a dos et assurer la protection de ton cul les jours humides Un set up de lampe correct genre Cateye Gvolt ou équivalent pour 40€ de plus : https://www.rosebikes.fr/cateye-set [...] sb-2706379 Et pour moins de 120 billets tu tests le projet dans de bonnes conditions avec ton RR.
Message cité 1 fois Message édité par Jay Kay le 03-08-2022 à 09:31:00 --------------- Écolo anti-capitaliste notoire, extrémiste de la pédale en déconstruction, vegan carencé, féministe brakeless à ses heures, et amish islamo-gauchiste woke mormont évidemment |
vinzomatik What goes up must come down |
j'ai utilisé un vieux gitane de 30 ans puis un VTT rockrider 540 avec un siège Hamax tenant juste par le cadre et j'ai transporté successivement sans problème 3 enfants jusqu'à plus de 30kg chacun. je redoutais beaucoup la capacité du système à tenir le poids juste par un raccord sur le cadre et finalement, ça a parfaitement tenu. d'ailleurs, ce système de fourche est très simple à monter et démonter régulièrement et amorti pas mal le passage des bosses par rapport aux modèles qui reposent sur le porte bagage seul inconvénient, sur mon modèle XL, je dois lever la jambe très haut pour enfourcher le vélo et en descendre, c'est un coup à prendre Message édité par vinzomatik le 03-08-2022 à 12:02:02 --------------- This could turn Hare Krishna into a bad boy - Puffin da herb |
TomSpring ↑ ↑ ↓ ↓ ← → ← → B A | Bon, dans l'absolu, la promo se terminant hier soir, j'ai rappelé le bouclard et réservé un POC Crane MIPS blue metalic soldé 60€. Je le récupère vendredi ou samedi.
|
nasdak | ce soir je refais toute la cablerie des freins de mon graveul, deguidolinage, nouvelles gaines, etc, ca sent la catastrophe |
GnomoVTT |
--------------- Mon 500px & flick R |
vinzomatik What goes up must come down | passer par les passages piéton --------------- This could turn Hare Krishna into a bad boy - Puffin da herb |
Sylean |
mdrlucky |
Message cité 1 fois Message édité par mdrlucky le 03-08-2022 à 13:44:23 |
GnomoVTT |
--------------- Mon 500px & flick R |
GnomoVTT |
--------------- Mon 500px & flick R |
meuniere |
|
Baoumfa le tiroir est dans la clé |
|
GnomoVTT |
--------------- Mon 500px & flick R |
jesustutor |
|
dje33 |
|
TomSpring ↑ ↑ ↓ ↓ ← → ← → B A |
|
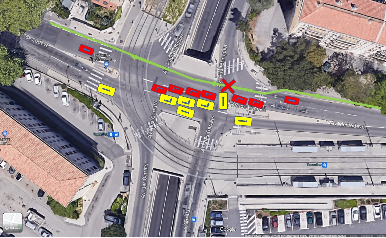
Ali-Pacha AW |
C'est même assez générique, quand il y a une piste / BC directement accolée parallèlement à un passage piéton, les voitures ont l'habitude de voir apparaître des piétons mais pas des cyclistes. Raison pour laquelle ils s'arrêtent souvent... sur la PC / BC. Grand classique des intersections parisiennes.
Message édité par Ali-Pacha le 03-08-2022 à 15:09:02 |
Jokeur Bouffeur de clowns |
--------------- Je suis fan du numéro 284, mais je ne sais pas pourquoi :o |
Trotamundos |
|
Jokeur Bouffeur de clowns |
--------------- Je suis fan du numéro 284, mais je ne sais pas pourquoi :o |
Publicité | Posté le ![]() ![]() |

FORUM HardWare.fr

Discussions

Société

[Vélo au quotidien] Préparez vos guibolles, c'est la fin du pétrole !

