| |||||
| Auteur | Sujet : Tornades - Ouragan Melissa Live Cam |
|---|---|
Rem82 | Reprise du message précédent :
|
Publicité | Posté le 11-05-2023 à 21:40:17 ![]() ![]() |
Zangalou | https://www.youtube.com/watch?v=lT9dre7u4Ok
|
Zangalou | Tornade magnifique hier en Alberta, très puissante également
|
Zangalou | Estofex de niveau 3 pour cette fin de journée, ceux qui habitent dans le secteur vont se régaler |
Timoonn Moune pour les intimes :o | Chui en plein milieu de la zone à haut risque --------------- HFPonss - Désactivez votre Adblock sur HFR - Découper le monde à coup de rasoir pour voir au cœur du fruit, le noyau noir. |
Zangalou | Selon Keraunos pour aujourd'hui
Message édité par Zangalou le 11-07-2023 à 17:41:52 |
Zangalou | Il va y avoir de gros dégâts localement, c'est évident |
Zangalou | MeteoFrance vient de passer plusieurs département en vigilance rouge orages, rafales a plus de 180kmh a prévoir (hors tornade bien entendu) |
Rem82 | C'est du jamais vu ! Bon courage là bas ! Message édité par Rem82 le 11-07-2023 à 18:09:08 |
chimm | Les chasseurs d'orages vont bien se halass, courage à tous ! |
Publicité | Posté le 11-07-2023 à 18:21:19 ![]() ![]() |
Zangalou |
Rem82 | Tornade dans le Haut-Doubs et La Chaux de Fonds en Suisse ! |
Zangalou | Rien d'officiel, même si pour moi il y a bien eu tornade mais uniquement au Loche pour le moment. Pourquoi ? Disons qu'un parpaing qui va se fracasser sur une bagnole, y'a pas grand chose d'autre qu'une tornade qui fait ça. Pour le reste, c'est soit un derecho ou une macro rafale qui a traversé une vaste zone jusqu'en Allemagne.
|
chimm |
Zangalou |
|
Zangalou | D'ailleurs je te laisse la vidéo a 360 degrés de l'endroit, difficile de ne pas voir le couloir de la tornade. T'as une ligne ou y'a plus d'arbres, plus de maison, et quelques mètres plus loin rien n'a bougé. Après c'est peut être qu'une impression.
Message édité par Zangalou le 25-07-2023 à 07:55:47 |
chimm |
|
Zangalou | A priori l'enquête n'as rien donné, dans le sens ou ils n'ont pas de certitude. Message édité par Zangalou le 27-08-2023 à 05:00:03 |
Zangalou | Je suis tombé sur ce documentaire à propos de la tornade de Joplin en 2011, la plus meurtrière des 80 dernières années avec 158 morts et des centaines de blessés. Même si je vous le conseille en intégralité, le passage sur le parking du walmart à 34:27 est assez impressionnant.
|
rdlmphotos omnia vanitas ! |
Message édité par rdlmphotos le 29-11-2023 à 09:11:09 --------------- Well Fed (Miam Miam des OGM) - Sauvez le Climat, sauvez les centrales nucléaires! |
Zangalou | Tornades en ce moment dans le Tennessee, au moins de décembre c'est plutôt inhabituel, malheureusement ça traverse une ville assez importante
|
Zangalou | Plusieurs bagnoles prises en plein milieu de la tornade de début décembre
|
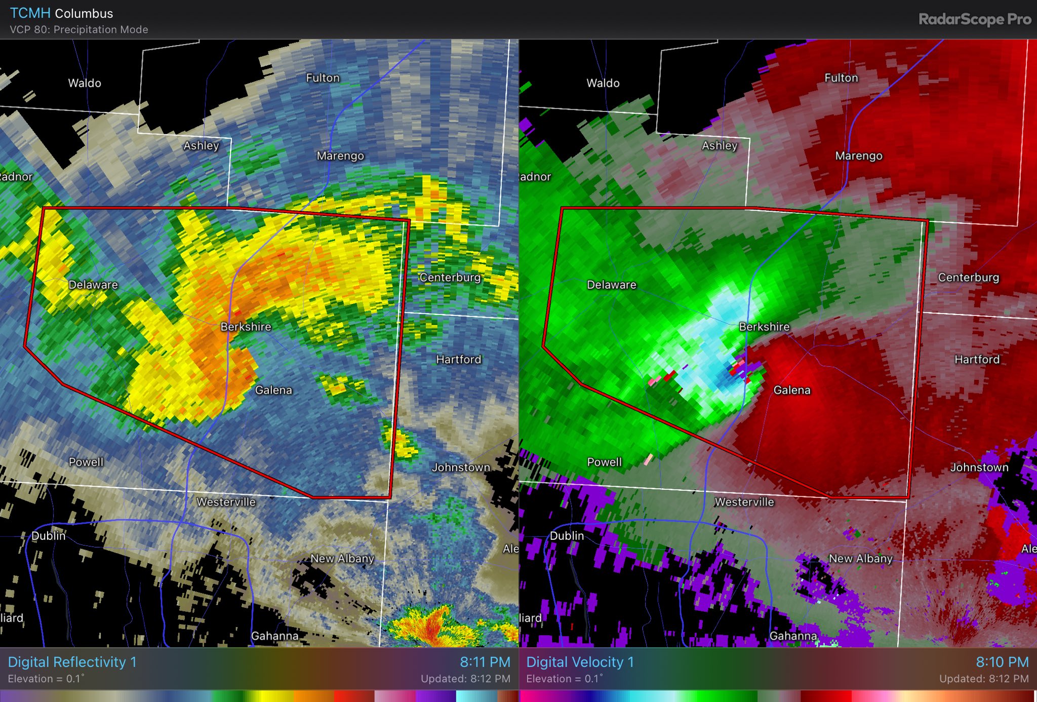
Zangalou | Plusieurs tornades actuellement au sol aux States, dans des zones peuplées, proche de Indianapolis, Columbus, Dallas, Cleveland, quasiment une dizaine de rapportées. Ça va être un désastre.
Message édité par Zangalou le 15-03-2024 à 01:49:49 |
Zangalou | 'Tuesday tornado risk highest we've seen in recent years'
Message édité par Zangalou le 02-04-2024 à 08:18:27 |
Zangalou | Cette journée du 26 avril fut absolument incroyable, notamment à suivre en live, je vous conseille clairement de vous mater le live complet de Ryan, qui est en relation avec plusieurs chasseurs pour diffuser en direct sur sa chaîne, sachant que la première tornade apparaît ici https://youtu.be/dZDOFX_KEL0?t=5776 |
preem Light the sun. | Celle qui s’est baladée à quelques centaines de mètres de chez mon frère --------------- Flick r |
Zangalou | Oui la tornade de la vidéo qui traverse l'autoroute, visuel incroyable, c'est celle que j'ai mis en premier sur le live du post au dessus
Message édité par Zangalou le 28-04-2024 à 04:45:04 |
chimm |
|
chimm | Des images folles
|
Zangalou | La journée d'aujourd'hui s'annonce destructrice, 30% de proba tornade pour le secteur d'Oklahoma City, en comparaison la journée ou il y a eu une centaine de tornades était a 10%. On va voir de la tornade, et probablement de la grosse tornade, en live dans la soirée !
|
rdlmphotos omnia vanitas ! | Pas mal celle là https://youtu.be/dw2RB9WhIq4?si=3X5s5jp7mbeu0L_I --------------- Well Fed (Miam Miam des OGM) - Sauvez le Climat, sauvez les centrales nucléaires! |
Zangalou | Tornade du jour
|
preem Light the sun. | Hello,
--------------- Flick r |
Gonzo49ers |
--------------- https://breizhmetal.bzh/ |
Rem82 |
Reste plus qu'à réactualiser la FP et le titre car Irma ça fait 7 ans quand-même ! Message cité 1 fois Message édité par Rem82 le 20-06-2024 à 01:27:19 |
preem Light the sun. |
--------------- Flick r |
preem Light the sun. |
--------------- Flick r |
Gonzo49ers |
--------------- https://breizhmetal.bzh/ |
Zangalou | Reed Timmer, qui chasse les tornades habituellement, couvre sur le terrain l'ouragan qui arrive sur le floride actuellement.
|
Chapeau de Paille Membre n° 1088888 |
|
Publicité | Posté le ![]() ![]() |

| Sujets relatifs | |
|---|---|
| Apparition d'OVNI devant les cameras d'ABC : canular, pub...? (video) | Un prophète fait apparaitre un OVNI devant les cameras d'ABC ! (video) |
| Jeu vidéo Star Wars 3 Online gratuit ! | Une nouvelle espèce de ver envahissent nos claviers ! (foto & Video) |
| quel est votre jeux vidéo préféré? | Titres des musiques d'une video cs |
| Clip vidéo | |ToPIKuNIK| Faire la fête à Nerja [video] |
| [Référendum du père Chirac] C'est possible de dl la vidéo ? | [a voir absolument] ==> vidéo trop délire |
| Plus de sujets relatifs à : Tornades - Ouragan Melissa Live Cam | |





